
الخريطة
اطلب فيديو
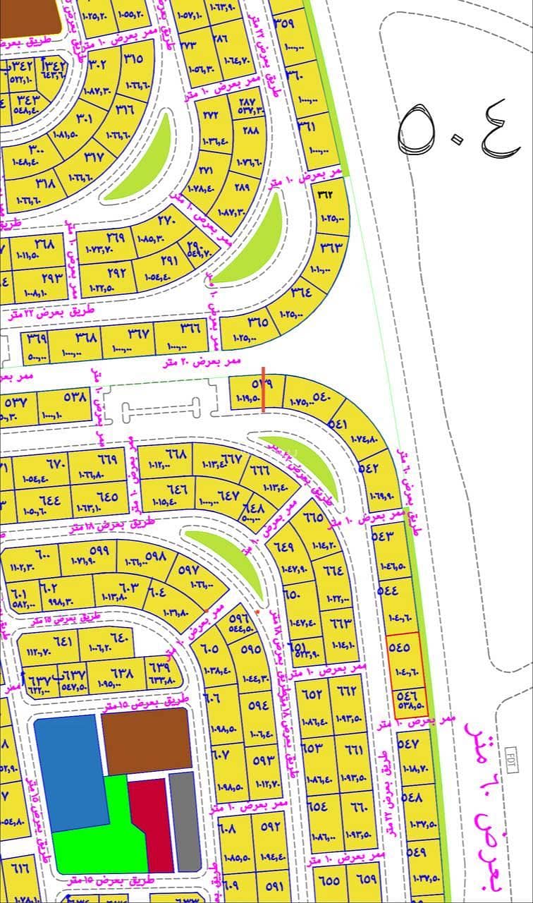
قطعة رقم ٥٣٩ / ١ و رقم ٥٣٩ /٢ في مخطط ٥٠٥ حي الناصرية الواقع في ضاحية الملك عبد الله بمدينة جيزان .
للبيع قطعة رقم ٥٣٩ /١ و ٥٣٩ / ٢ في مخطط ٥٠٥ حي الناصرية الواقع في ضاحية الملك عبد الله بمدينة جيزان .
رقم القطعة ٥٣٩ / ١
. .
المساحة : ٥١٨ م ٢
حدودها :-
شمالا : ممر عرض ٢٠ م بطول ٢٢ م
جنوباً : طريق عرض ٢٢ بطول ١٧ م
شرقاً : قطعة رقم ٥٤٠ بطول ٢٥ م
غرباً: قطعة رقم ٥٣٩ / ٢ بطول ٢٥ م
.
رقم القطعة ٥٣٩ / ٢
. .
المساحة : ٥٠٠ م ٢
حدودها :-
شمالا : ممر عرض ٢٠ م بطول ١٩. ٩٦ م
جنوباً : طريق عرض ٢٢ بطول ١٩. ٩٦ م
شرقاً : قطعة رقم ٥٣٩ / ١ بطول ٢٥ م
غرباً: ممر عرض ١٠ م بطول ٢٥ م
للاستفسار الخاص او واتس اب
٠٥٠٧٨٦٨٨٨٨
رقم القطعة ٥٣٩ / ١
. .
المساحة : ٥١٨ م ٢
حدودها :-
شمالا : ممر عرض ٢٠ م بطول ٢٢ م
جنوباً : طريق عرض ٢٢ بطول ١٧ م
شرقاً : قطعة رقم ٥٤٠ بطول ٢٥ م
غرباً: قطعة رقم ٥٣٩ / ٢ بطول ٢٥ م
.
رقم القطعة ٥٣٩ / ٢
. .
المساحة : ٥٠٠ م ٢
حدودها :-
شمالا : ممر عرض ٢٠ م بطول ١٩. ٩٦ م
جنوباً : طريق عرض ٢٢ بطول ١٩. ٩٦ م
شرقاً : قطعة رقم ٥٣٩ / ١ بطول ٢٥ م
غرباً: ممر عرض ١٠ م بطول ٢٥ م
للاستفسار الخاص او واتس اب
٠٥٠٧٨٦٨٨٨٨
معلومات العقار
- نوع العقارارض سكنية
- نوع العرضللبيع
- رقم بيوت المرجعي87766108
- تاريخ الإضافة22 سبتمبر 2025
معلومات ترخيص الإعلان
- رقم رخصة فال1200002232
- تاريخ إصدار الترخيص4 سبتمبر 2025
- تاريخ انتهاء الترخيص3 سبتمبر 2026
معلومات مسؤول الإعلان
- اسم المسؤول-
- رقم المسؤول-
الموقع
- المنطقةمنطقة جازان
- المدينةجازان
- الحيالناصرية 5
- اسم الشارع-
- الرمز البريدي-
- رقم المبنى-
- الرقم الاضافي-
- خط العرض17.014593172774923
- خط الطول42.61066051253199
تفاصيل العقار
- نوع الإعلانللبيع
- استخدام العقار-
- نوع العقاراراضي سكنية
- السعر250270
- المساحة500.54
- عدد الغرف-
خدمات العقار
- لا يوجد خدمات
تفاصيل اضافية
- عمر العقار-
- عرض الشارع22
- رقم المخطط505
- رقم صك الملكية360026345727
- واجهة العقارشمالية
- حدود واطوال العقار-
- الضمانات والمدة-
- قنوات الاعلانمنصة مرخصة ،لوحة اعلانية ،منصات التواصل الإجتماعي ،الإذاعة ،أخرى
- هل يوجد اي التزام على العقار ؟لا يوجد
- مطابقة لكود البناء السعودي-
- العقار مرهونلا
- العقار مقيدلا
- رقم الأرض539 / 2
- ملاحظات-
حدود العقار/الملكية
الشمالي
الشرقي
الغربي
الجنوبي
حاسبة التمويل
الموقع والأماكن القريبة
يتم جلب الموقع والتحقق منه بواسطة الهيئة العامة للعقاروصف موقع العقار حسب الصك:حي الناصرية 5 في مدينة جيزان

انظر الموقع
احذر من الإحتيال، لا تقم بتحويل أي مبلغ إلا عبر القنوات الرسمية لضمان حقوقك .الإعلان عن الغير يعرضك للمساءلة القانونية.





